Parcel Of Building Land , Glyncorrwyg, Port Talbot, SA13 3AB Offers in the Region Of £100,000
On MarketHerbert R Thomas - Neath - 01639 639541HRT34194
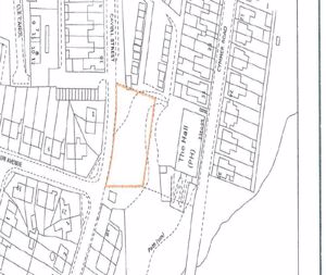
- 0.32 acres of land or thereabouts has Outline Planning Permission granted, subject to Conditions, Neath Port Talbot County Borough Council on the 6th August 2024 (Ref. No. P2023/0689) for the construction of four, three bedroomed houses with three parking spaces per property
The land, edged red on the attached plan comprising 0.32 acre or thereabouts has Outline Planning Permission granted, subject to Conditions, Neath Port Talbot County Borough Council on the 6th August 2024 (Ref. No. P2023/0689) for the construction of four, three bedroomed houses with three parking spaces per property as indicated on the attached plan.
Services:
All main services.
Tenure and Possession:
Freehold with vacant possession upon completion.
Plans:
The plans attached to these particulars are shown for identification purposes only and, whilst every care has been taken, their contents cannot be guaranteed.
Directions:
SA13 3AB
Asking/Price Guide:
Offers in the region of £100,000.
Expert Agent supplies powerful web based estate agency software, estate agent web
site design and estate agent marketing systems. Our estate agent software is suitable
for both estate agents and letting agents. It is totally web based, hosted by us
and available, like all of our products, for an affordable monthly subscription.
Expert Agent is the estate agency software product of choice in nearly 1100 residential,
commercial and lettings businesses across the UK and Europe.
For more information about our
Estate Agent Software please click the link.