New Road, PennGuide Price £950,000
On MarketBeaconsfield Estate Agents Limited - 01494 68116800000510
- Detached Character Family Home
- 4 Bedrooms, Master With Ensuite,
- 3 Reception Rooms / Kitchen/Breakfast Room / Ground Floor Cloakroom Gas Central Heating
- Large Family Bathroom - Gas Central Heating
- Rear Garden with space for single garage
- Driveway and Parking To front For Circa Four Vehicles
- Central Village Location
- Walking Distance of Tylers Green First and Middle Schools & All Local Social Facilities
- END OF CHAIN
A spacious detached character family homes. Accommodation in brief comprises; 3 reception rooms, kitchen/Breakfast Room, Cloakroom. Master bedroom with en-suite shower, 3 further bedrooms and family bathroom. Outside, to the rear there is a garden measuring approx.. 50ft/15M’s depth x 40ft/12M’s width, patio area, space for single garage and access. Parking to the front for circa four vehicles.
Located within walking distance of all local village amenities and woodland and country walks, the property further benefits from being within the catchment areas for the much sought-after village first and middle school and the highly regarded Grammar schools - The Royal Grammar School for boys and Beaconsfield/Wycombe High School for girls. High Wycombe, Beaconsfield and Amersham are all several minutes driving proximity providing motorway and rail links to London.
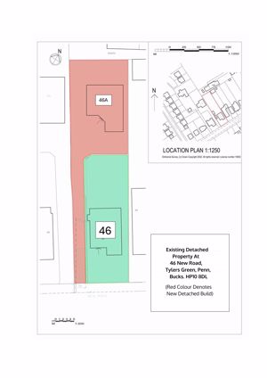
NB. A detached Chalet Style home is programmed to be constructed on land to the rear of the property. Commencing over the next two months, the build timetable is scheduled to complete in November 2025.
Disclaimer:- NB. Under Section 21 of The Estate Agent Act 1979, we hereby advise that the seller of this property is an estate agency
Expert Agent supplies powerful web based estate agency software, estate agent web
site design and estate agent marketing systems. Our estate agent software is suitable
for both estate agents and letting agents. It is totally web based, hosted by us
and available, like all of our products, for an affordable monthly subscription.
Expert Agent is the estate agency software product of choice in nearly 1100 residential,
commercial and lettings businesses across the UK and Europe.
For more information about our
Estate Agent Software please click the link.