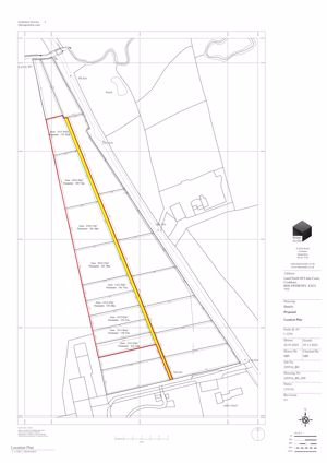
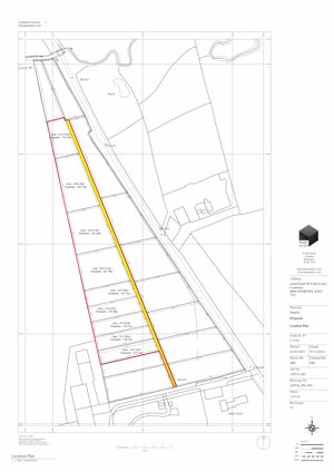
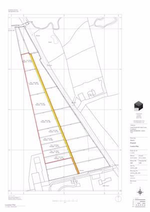
Approx. 3.5 acres of land in Cookbury, Devon£35,000
On MarketAuction Agent - 0161 791 309900000711
- - Parcel of Land Approx. 3.50 Acres
- - Ideal For A Number Of Uses Subject To Obtaining The Necessary Consents
- - Superbly Located To Enjoy The Cornwall And Devon Coastlines
For sale on the Auction Agent website. A unique opportunity to purchase approx. 3.5 acres of land in Cookbury, Devon, a 5-minute drive from the pretty market town of Holsworthy. Suitable for a variety of uses subject to obtaining the necessary consents. Prospective purchasers are deemed to rely on their own enquiries. The land is surrounded by green rolling hills and wooded valleys, with a number of walking, cycling and riding trails on its doorstep. The nearby South West Lakes Trust venues offer opportunities for sailing, kayaking and windsurfing, along with a number of coarse or trout fishing destinations too. The land is superbly located to enjoy the North Cornwall coast with the coastal town of Bude just a 15-minute drive away, where you can find a good range of amenities including shops, restaurants and sports facilities. The land benefits from shared private access directly off the main road. Buyers are advised to check the legal pack before purchasing for details of the lot and fees, this will be available on the Auction Agent website once received. If you require any assistance, please call us on 0161 791 3099 or email us at info@auctionagent.co.uk.
Expert Agent supplies powerful web based estate agency software, estate agent web
site design and estate agent marketing systems. Our estate agent software is suitable
for both estate agents and letting agents. It is totally web based, hosted by us
and available, like all of our products, for an affordable monthly subscription.
Expert Agent is the estate agency software product of choice in nearly 1100 residential,
commercial and lettings businesses across the UK and Europe.
For more information about our
Estate Agent Software please click the link.